Nog archeologie op de schop: zoektocht aannemer Wolsemstraat van start!

In de loop van 2019 zal één van de slechtste straten van Dilbeek volledig vernieuwd worden. Het stuk Wolsemstraat in Sint-Martens-Bodegem, een veel gebruikt weg tussen Bodegem en Dilbeek, is berucht voor de vele putten en bulten.

Waarom nu pas?

We willen niet de zoveelste oplapbeurt geven. Asfalt leggen op een weg zonder fundering brengt geen oplossing en is geldverspilling. Bovendien moet de straat nog riolering krijgen. Dit verklaart ook de lange voorbereidingstijd. Het regenwater zal zoveel als mogelijk opgevangen worden in open grachten. Hiervoor waren een 25-tal onteigeningen nodig. Deze zijn quasi achter de rug.

Het project omvat niet enkel de Wolsemstraat (van het brugje tot de Lange Veldstraat) maar ook de Lange Veldstraat tot aan de Neerstraat én de Bruine Lieveheerstraat tot aan de Kattenstraat. In totaal 1,7 km weg.

Tijdspad

Het bestek voor deze uitgebreide werken is nu gepubliceerd. Rond half oktober moeten de offertes binnen komen zodat in de loop van november/december de werken gegund kunnen worden. Nadien zal met de aannemer een startdatum en de fasering bepaald worden. De nutsleidingen (water, telecommunicatie) werden vernieuwd in de maand juni.

Ontwerp

Veel mogelijkheden in een dergelijke landelijke straat zijn er niet. Gezien de Wolsemstraat toch veel gebruikt wordt door auto’s maar ook fietsers, wordt ze 4m breed, met goten van telkens een 0,5m. Bovendien komen er op verschillende plaatsen uitwijkstroken. Voor de Lange Veldstraat wordt hetzelfde profiel gebruikt maar dan met een wegbreedte van 3m + uitwijkstroken. In de Bruine Lieveheerstraat versmallen de goten naar 0,30m.

typeprofiel bruine lieveheerstraattypeprofiel wolsemstraat 1

Grondplannen in pdf

Geplaatst in Gemeente(raad) Dilbeek | Plaats een reactie

Aanleg fietspaden Wijngaardstraat van start!

Vorige week is aannemer Norré-Behaegel gestart met de werken aan nieuwe fietspaden in de Wijngaardstraat. Op het wegdeel tussen ‘de Gendarm’ en de spoorwegbrug werden fietsers en voetgangers tot nu toe aan hun lot overgelaten. Met deze werken komt er aan beide zijden van de Wijngaardstraat een breed fietspad, afgescheiden door een haagje (zie plannen). De oversteek van de fietssnelweg wordt beter beveiligd en snelheidsremmers maken de overgang van zone 70 naar 50 duidelijker. Gelijktijdig wordt ook hier de waterleiding en telecommunicatieleidingen vernieuwd. De verlichting wordt vervangen door LED-verlichting en de elektriciteit wordt ondergronds gelegd. De aannemer heeft 40 werkdagen om de werken tot een goed einde te brengen. Ten laatste eind oktober zijn de werken voltooid.

Na deze werken zullen er in deze bestuursperiode 15km fietspaden zijn aangelegd. Nog 20km staan op de planning voor de komende jaren. Eerstvolgende projecten: Dansaertlaan, Bodegemstraat, Ternatstraat, Hoogveld, Molenberg.

 

 

 

wijngaardstr

Plannen fietspaden Wijngaardstraat

 

Geplaatst in Gemeente(raad) Dilbeek | Plaats een reactie

Nieuwe ontsluitingsweg in Wolsemwijk

IMG_6956Het openbaar onderzoek voor de aanleg van een ‘zuidelijke ontsluitingsweg’ in de Wolsemwijk is lopende. Een deel van de Wolsemwijk is namelijk niet bereikbaar voor bewoners, die vaak moeilijk te been zijn, vuilkar én voor hulpdiensten. Vandaar dat de gemeente een lokale weg wil aanleggen naar het zuidelijk deel van de wijk.

De aanleg van de weg zal gecombineerd worden met de aanleg van fietsvriendelijke doorsteekjes (geel op de plannen) en een aantal parkeerplaatsen.

Het project heeft extra tijd in beslag genomen omdat een aantal grondinnames moesten gebeuren. Deze zijn nu achter de rug. Eens de vergunning er is, starten we de zoektocht naar een aannemer. De werken zouden dus kunnen starten in het voorjaar van 2019.

wolsemwijkGedetailleerde plannen Wolsemwijk

In de wijk zijn er nog ontsluitingsproblemen. Ook parkeren gebeurt op plaatsen waar het niet kan met als gevolg dat veel grasperken stuk gereden worden. In een volgende fase bekijken hoe dit probleem kan opgelost worden.

Geplaatst in Gemeente(raad) Dilbeek | Plaats een reactie

Wegenwerken stand van zaken halfweg 2018

2018 zal vooral gekenmerkt zijn als het jaar van de werken in het centrum van Dilbeek. Maar ook op andere plaatsen werd er gewerkt. Een aantal straten kregen een nieuwe asfaltlaag en in de Nieuwenbosstraat en Anemonengaarde wordt een nieuw rioleringstelsel gelegd en de straten bijgevolg volledig vernieuwd.

Nieuwenbosstraat – Anemonengaarde

Nieuwe asfaltlaag in de Wolsemstraat (deel tussen Neerstraat en Sint-Martinusstraat)

Nieuwe asfaltlaag in de Moortebeekstraat

Nieuwe asfaltlaag in de Broekstraat (deel ten zuiden van Tuinbouwlaan)

Nieuwe asfaltlaag in de Scheestraat (grens Lennik/Schepdaal)

Nieuwe asfaltlaag in (deel van) de Elegemstraat en Stichelgatstraat

Werken centrum Dilbeek

De werken in het centrum van Dilbeek vorderen zeer goed. De as Spanjebergstraat-Kasteelstraat is nagenoeg afgewerkt. Na het bouwverlof starten de werken aan de Verheydenstraat en worden de (verzamel)parkings aan de Oude Smidsestraat en aan de Kasteelstraat/Sportlaan aangelegd. Als alles goed gaat kunnen de werken aan de Sint-Alenalaan in oktober van start gaan. Een fotorapportage…

Geplaatst in Gemeente(raad) Dilbeek | 2 reacties

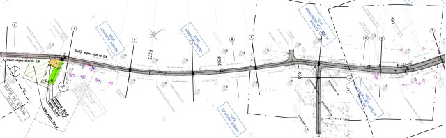
Heraanleg Dansaertlaan start begin 2019!

Wanneer?

Er is al jaren sprake van maar de heraanleg van de Dansaertlaan komt nu dichter. De aanbestedingsprocedure is achter de rug. Op 6 september is er een eerste bespreking met de aannemer Aswebo (groep Willemen) geweest. Wegens te weinig beschikbare ploegen kan deze pas in februari 2019 starten. Er wordt momenteel aan een gedetailleerde planning gewerkt.

Waarom?

De Dansaertlaan is na de Ninoofsesteenweg de drukste weg van Dilbeek. De weg dateert uit de jaren 50. De betonplaten zijn dringend aan vervanging toe en zien af van het vele verkeer. Fietsers moeten fietsen op een smal en slecht fietspad. Nochtans heeft de weg heel wat potentieel voor woon-werkverkeer, ook voor de fietsers. Tot slot ontbreekt op de meeste plaatsen een voetpad en gebeurt het parkeren kris-kras door elkaar en worden de bermen stuk gereden. Een laatste reden is de verkeersknoop aan de verkeerslichten met de Elzenstraat. Door het ontbreken van een afslagstrook stropt het spitsverkeer enorm op en is er geen doorstroming mogelijk.
Al deze vraagstukken zullen een antwoord krijgen in de nieuwe (her)aanleg.

Hoe?

De Dansaertlaan wordt volledig vernieuwd, “van rooilijn tot rooilijn”. Voetpaden, fietspaden, wegdek, parkeerstroken. Ook de bomen zullen vervangen worden gezien ze niet meer passen in het nieuwe ontwerp. Algemeen wordt volgend inrichtingsprincipe gevolgd: gezien de straat volledig in zone 50 ligt, moeten de fietspaden aanliggend gelegd worden, verhoogd naast de weg, met scheiding van de rijbaan door een gootsteen/borduur van 80 cm. Naast dit fietspad komt een groenstrook tenzij op plaatsen waar parkeerplaatsen nodig zijn. Naast deze groenstrook komt een volwaardig voetpad te liggen. De rijbaan zelf wordt versmald naar 6,10m, voldoende breed voor kruisend busverkeer maar smaller dan vandaag. Dat moet het ‘landingsbaangehalte’ verlagen. Het kruispunt met de Elzenstraat zal afslagstroken hebben en de laan wordt een voorrangsweg, net als de andere hoofdwegen. Dit moet de doorstroming sterk bevorderen en lange files terug dringen.

Dansaertlaan 1Algemeen toekomstig wegbeeld van de nieuwe Dansaertlaan.
Dansaertlaan 2Kruispunt aan de Elzenstraat mét afslagstroken!

Dansaertlaan 3

Ter hoogte van de tramhalte en het op en afrittencomplex verplaatst het fietspad zich naar 1 kant en wordt het een 2-richtingsfietspad.

 

De volledige plannen zijn via volgende linken te raadplegen:

Plannen Dansaertlaan deel 1

Plannen Dansaertlaan deel 2

 

Geplaatst in Gemeente(raad) Dilbeek | 21 reacties

(Ver)nieuw(d)e parkings in Groot-Bijgaarden, Kapelle en Sint-Anna-Pede

De gemeente Dilbeek heeft de plannen klaar voor de (her)aanleg van nieuwe parkings. Voor alle parkings worden dezelfde inrichtingsprincipes gehanteerd. De rijweg wordt in asfalt of beton voorzien, de parkeerplaatsen worden met grasdallen aangelegd, net zoals de parking aan het Dorpsplein in Bodegem of het Stationsplein aan het station van Bodegem.

  • In Groot-Bijgaarden wordt de parking aan de Bosstraat volledig vernieuwd. In totaal zullen 79 netjes afgebakende plaatsen voorzien worden. Gedaan dus met de putten en bulten. De werken zijn nagenoeg aanbesteed en zouden in de vakantieperiode starten. De gedetailleerde plannen van de toekomstige parking vindt u via deze link: Plannen parking BosstraatPlannen Bosstraat

 

  • In Sint-Ulriks-Kapelle wordt er eindelijk werk gemaakt van genoeg parkeercapaciteit voor voetbalploeg BOKA United en de bezoekers van Kasteel La Motte. In totaal worden 90 plaatsen voorzien. De werken starten in het najaar. De gedetailleerde plannen zijn raadpleegbaar via deze link: Plannen parking Lumbeekstraatparking-lumbeekstraat.jpeg

 

  • Tot slot wordt de parking op de hoek van de Plankenstraat en de Herdebeekstraat in een nieuw kleedje gestoken. Door de parkeerplaatsen goed af te bakenen en 1 in/uitrit te voorzien, zullen 17 wagens zich er kunnen parkeren. Er worden eveneens fietsenstallingen voorzien aan de Plankenstraat. Ook hier starten de werken in het najaar. Gedetailleerde plannen: Plannen parking Sint-AnnaPlannen Sint-Anna
Geplaatst in Gemeente(raad) Dilbeek | Plaats een reactie

Ook in een verkiezingsjaar werken we verder! Stand van zaken wegenaanleg.

Heel wat projecten werden de afgelopen maanden tot een goed einde gebracht. Intussen zijn (eindelijk) de werken aan het centrum van Dilbeek kunnen starten.

Moeremanslaan (N8-Berchemstraat)
In de Moeremanslaan werden de rioleringen volledig vernieuwd in het kader van het optreden van wateroverlast. Tegelijk werd de (versleten) bovenbouw volledig vernieuwd met een nieuwe weg, een breed voetpad en een duidelijk afgebakende parkeerstrook.

Zakstraat
In de Zakstraat te Itterbeek werden eveneens rioleringen aangelegd met de bedoeling alle woningen aldaar aan te sluiten op het rioleringsstelsel. Ook hier werd de volledige weg vernieuwd inclusief het laatste stuk uitgevend op de Rollestraat dewelke in zeer slechte staat was.

Bufkensstraat/Steenbergstraat
In de Bufkensstraat en een deel van de Steenbergstraat waren de huizen nog niet aangesloten op de riolering. Deze werken zijn intussen achter de rug. De wegen werden volledig vernieuwd.

Heraanleg Doylijkstraat/Ijsbergstraat/Jan de Trochstraat

Vanaf mei 2017 werden respectievelijk de Doylijkstraat, vervolgens de Ijsbergstraat en de Jan de Trochstraat heraangelegd. Over heel de lengte van 4 km werden langs beide kanten fietspaden aangelegd. Een drukke verkeersas een pak verkeersveiliger en mooier!

Fietssnelwegen langs spoorlijn 50A
De stukken die nog niet geasfalteerd werden, zijn nu geasfalteerd

Masterplan Dilbeekse kern: fase 1
De eerste fase van de heraanleg van het centrum is van start gegaan. Achtereenvolgens worden de Spanjebergstraat, Kasteelstraat tot kruispunt Sportlaan, Verheydenstraat en Sint-Alenalaan volledig vernieuwd. De nutsleidingen werden vorig jaar aangepakt, nu volgen rioleringen en volledig nieuwe bovenbouw.

Nieuwenbosstraat/Anemonengaarde
Half april startten de rioleringswerken aan de Nieuwenbosstraat en Anemonengaarde. In de Nieuwenbosstraat komt er eveneens een breed voetpad over heel de lengte.

Plannen Nieuwenbosstraat

De komende maanden starten er ook werken aan/in:

  • Parking Bosstraat: deze wordt volledige heraangelegd met een degelijke verharding
  • Bronstraat/Lambrechtslaan/Neerhofstraat: heraanleg + aanpak wateroverlast in de Bronstraat
  • Wijngaardstraat: aanleg fietspaden tussen Jan de Trochstraat en spoorwegbrug
  • Wolsemwijk: aan de zuidkant van de Wolsemwijk wordt een ontsluitingsweg aangelegd + afgebakende parkeerplaatsen
  • Dansaertlaan: volledige heraanleg wegdek, fietspaden en voetpaden

 

 

Geplaatst in Gemeente(raad) Dilbeek | Plaats een reactie

Werken halfweg 2017

Een half jaar wegenwerken in Dilbeek: wat is beëindigd, waar zijn we bezig en waar beginnen we het komende half jaar? Een overzicht…

Werken in Gysenstraat beëindigd

Deze werken kaderen in de doelstelling om alle woningen op het rioleringsstelsel aan te sluiten (of ze via een individuele installatie afvalwater te laten zuiveren). De huidige rioleringsgraad in Dilbeek bedraagt 94,24% (doelstelling 97,99%). Wat de Gysenstraat betreft was de (her)aanleg van de weg ook dringend nodig. Het resultaat mag in ieder geval gezien worden!

Stationsplein Bodegem afgewerkt

We maken werk van betere parkings aan de treinstations. In Dilbeek werd de parking enkele jaren geleden gefatsoeneerd, Groot-Bijgaarden kwam eveneens al aan de beurt. De parking in Bodegem is de laatste in de rij. Door parkeerplaatsen duidelijk af te bakenen, behoort het kris kras door elkaar parkeren tot het verleden.

Kameelstraat bijna klaar…

De Kameelstraat is wat te vergelijken met de Gysenstraat. Nog geen deftige riolering en de staat van de weg liet te wensen over. Door de aanleg van rioleringen slaan we ook hier twee vliegen in 1 klap. Na het bouwverlof wordt de toplaag aangelegd en zijn de werken achter de rug.

Fietspadenproject Doylijkstraat – Ijsbergstraat – Jan de Trochstraat in uitvoering!

Over een lengte van meer dan 3 kilometer worden langs beide kanten van deze verbindingswegen veilige en comfortabele fietspaden aangelegd. Dit vereist een aanpassing van het wegprofiel. In het geval van de Doylijkstraat en de Ijsbergstraat gaat dit samen met een volledige vernieuwing van de rijweg. De week na het bouwverlof wordt de Doylijkstraat afgewerkt, vervolgens is het aan de Ijsbergstraat en nadien de Jan de Trochstraat.

Slemlagen op de Schepdaalstraat en de Poverstraat

Een wat-laag? Een slemlaag is geen slijtlaag waarbij een stuk asfalt wordt afgeschraapt en een nieuwe aangebracht. Een slemlaag leggen we bovenop de bestaande slijtlaag. Dit kan enkel indien het wegdek nog in redelijk goede staat is. Een slemlaag maakt een bestaand wegdek terug waterdicht en dus vriesvast. Op die manier wordt de levensduur van de straat verlengd. De aanleg ervan is ook een stuk goedkoper. In Dilbeek passen we deze techniek voor de eerste keer toe bij wijze van test. Dit op een drukke straat (Schepdaalstraat) en een rustige straat (Poverstraat). Indien succesvol zullen we het op meer straten toepassen (kan uiteraard enkel op asfaltwegen).

Rioleringswerken in de Zakstraat

Ook in de Zakstraat wordt aan de weg en rioleringen gewerkt. Het laatste deel van de Zakstraat richting Pede (ongeveer de helft van de werfzone) wordt eveneens volledig vernieuwd. Deze bevindt zich in zeer slechte staat. In het najaar zijn de werken achter de rug.

Bestrijding wateroverlast in de Moeremanslaan

In de Henri Moeremanslaan (tussen Berchemstraat en N8) wordt een gescheiden rioleringsstelsel aangelegd. De straat had regelmatig last van wateroverlast. Door rioleringen aan te leggen met voldoende debiet, moeten de problemen tot het verleden behoren. De weg wordt volledig heringericht met een breed voetpad en parkeerplaatsen gescheiden van de rijbaan. De rioleringen zijn aangelegd, na het bouwverlof start de afwerking van de weg.

Rioleringswerken in de Steenbergstraat-Bufkensstraat

Ook in de Steenbergstraat en de Bufkensstraat zijn er rioleringswerken aan de gang. Rioleringen worden aangelegd en wegdek volledig vernieuwd.

 

Einde van een lange lijst. In het najaar starten eindelijk de werken in het centrum van Dilbeek. Het veelbesproken masterplan wordt in uitvoering gebracht! Aannemer Wegebo/Colas is aangeduid om de werken in de Spanjebergstraat, Verheydenstraat, Sint-Alenalaan en Kasteelstraat uit te voeren.
Ook in het najaar starten de wegeniswerken aan de Nieuwenbosstraat en Anemonengaarde. Aannemer is firma Alonco.

Geplaatst in Gemeente(raad) Dilbeek | Plaats een reactie

We werken verder…

In 2016 werden de werken aan het Dorpsplein, de rioleringswerken rond afrit 12 (Berghaagstraat, Oude Eikelenberg en delen van de Kattebroekstraat en Astridlaan) en in de Hongersveld en Ketelheidestraat afgerond.

2016 was koud bier in vergelijking met 2017. Een pak  werken staan op stapel! Een overzichtje…

  • In Schepdaal is de volledige heraanleg van de slechte delen van de Predikherenstraat en de Zierbeekhofbaan bijna achter de rug. Grachten werden gegraven om de wateroverlast en problemen met erosie aan te pakken.
  • Nog in Schepdaal wordt de Gysenstraat volledig vernieuwd, inclusief de riolering. De bewoners wachten er al meer dan 10 jaren op. De werken zijn van start gegaan op 20 februari en worden uitgevoerd door de firma Pevenage.
  • In centrum Dilbeek zijn de voorbereidende werken gestart voor de heraanleg van een groot deel van de Moeremanslaan. De straat heeft te kampen met wateroverlast en de rioleringen bevinden zich in slechte staat. Heel het rioleringsstelsel wordt ontdubbeld en de volledige bovenbouw wordt vernieuwd. Firma Wegebo zal de werken uitvoeren. Deze zullen in principe eind 2017 volledig beëindigd zijn. Een omleiding is voorzien langs de Baron R. de Vironlaan en de Berchemstraat.
    Detail ontwerpplannen Moeremanslaanmoeremanslaan
  • In de Kameelstraat in Bodegem zijn de voorbereidende werken gestart aan de waterleiding en het elektriciteitsnet. Op 18 april start de firma Timmermans namelijk met de uitvoering van rioleringswerken. De werken zouden beëindigd moeten zijn vóór de aanvang van het bouwverlof.

    kameelstraat

    Ontwerpplannen Kameelstraat

  • Eveneens in Bodegem start de firma Van Lembergen op 18 april met de volledige vernieuwing van het Stationsplein. De parkeerchaos daar wordt opgelost door het aanleggen van afgebakende parkeerplaatsen in grasdallen.

    stationsplein-plannen

    De plannen voor het nieuwe Stationsplein

  • Ook in de Steenbergstraat en de Bufkensstraat te Bodegem zal de riolering aangepast worden. Deze werken werden gegund aan de firma Alonco. De concrete startdatum wordt binnenkort bepaald.

    steenbergstraat-bufkensstraat

    Ontwerpplannen Steenbergstraat/Bufkensstraat

  • In de maand mei wordt er gestart met de vernieuwing van de Zakstraat te Itterbeek. Ook riolering wordt aangelegd waar nu niet aanwezig. De werken worden uitgevoerd door de firma Audebo en zullen ongeveer 3 maanden duren.

    zakstraat

    Ontwerpplannen deel Zakstraat

  • Het eerste grote fietspadendossier gaat eveneens van start! In samenwerking met de gemeente Sint-Pieters-Leeuw worden fietspaden aangelegd in de Pedestraat (Leeuw), de Doylijkstraat, de (ontbrekende delen van de) Ijsbergstraat en de Jan de Trochstraat. Waar nodig wordt ook het wegdek volledig vernieuwd. In totaal goed voor een traject van 4 km brede fietspaden (langs beide kanten). De voorbereidende werken zijn aan de gang. De concrete startdatum wordt binnenkort bepaald. Tijdens de werken blijft de doorgang voor fietsers en voetgangers zoveel mogelijk gegarandeerd, voor autoverkeer zal afwisselend verkeer geregeld worden door middel van borden.

    img_4978

    Elektriciteitsnetwerk en waternet worden vernieuwd in de Doylijkstraat ter voorbereiding van de aanleg van fietspaden

  • Tot slot zijn ook de voorbereidende werken in de Dilbeekse kern van start gegaan. Zij zijn de voorbode voor de volledige heraanleg van de Spanjebergstraat, de Sint-Alenalaan, de Verheydenstraat en een deel van de Kasteelstraat. De aanbestedingsprocedure wordt weldra opgestart. Bedoeling is om na het bouwverlof van start te gaan.

     

Geplaatst in Gemeente(raad) Dilbeek | 1 reactie

Wegenwerken april 2016

Alweer even geleden maar met een aantal foto’s bent u weer helemaal mee waar we gewerkt hebben, zullen werken en aan het werk zijn…

Vernieuwde voetpaden in:

Nieuwe wegen:

Riolerings- en wegenis werken aan de gang in:

… en dorpskernvernieuwing in Bodegem:

Geplaatst in Gemeente(raad) Dilbeek | 8 reacties