De laatste in de reeks van concrete plannen voor de aanleg van fietspaden in Dilbeek. 15 km werd al uitgevoerd, 19 km is concreet gepland. Deze 19 km komen te liggen op de Dansaertlaan (start begin 2019), de Bodegemstraat en Ternatstraat (start eind 2019), de Itterbeeksebaan (vermoedelijke start in 2021), Hoogveld en Molenberg (start 2019) en de Brusselstraat in Kapelle (tussen Ternat en de Assestraat).
Al deze ingrepen gaan gepaard met een volledige vernieuwing van het versleten wegdek en versleten voetpaden. Op al deze drukke wegen krijgt elke weggebruiker een veilige plaats.
Brusselstraat Kapelle
De plannen voor dit project zijn al een tijdje goedgekeurd. Momenteel worden de rioleringen onderzocht in functie van al dan niet vernieuwen. Het plan gaat uit van de aanleg van fietspaden en de uitbouw van een (permanente) zone 30 rond het centrum en de schoolomgeving. Een typische Vlaamse weg: lintbebouwing, weinig ruimte, druk verkeer. Een evenwichtsoefening om iedereen een plaats te geven.
De zone 30 zal zich uitstrekken van de Kwaadbunderweg tot voorbij het kruispunt met de Kerkstraat. Ruimte voor fiets- en voetpaden is er niet. We opteren voor brede voetpaden rond de schoolomgeving en het centrum. Begin en einde van de zone wordt afgebakend door een poorteffect met rijbaankussen. In de rest van de Brusselstraat zullen fietspaden komen te liggen die de verbinding zal maken met de huidige fietspaden. (Noot: op fietspaden mogen ook voetgangers wandelen, mist het geven van voorrang aan fietsers).


Plannen in detail:
Deel Driehofveldenlaan – Kwaadbunderweg
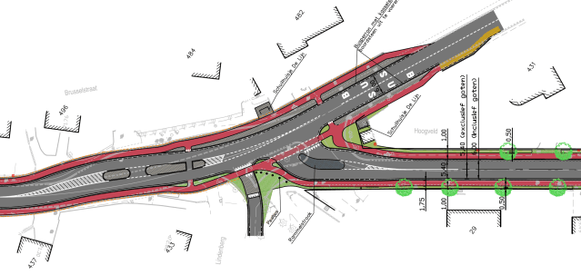
Brusselstraat – Hoogveld – Molenberg
Vandaag stoppen de fietspaden op de grens met Groot-Bijgaarden. Gelet op het slechte wegdek in Hoogveld en Molenberg is er voor geopteerd om deze straten eerst aan te pakken. De Brusselstraat in Groot-Bijgaarden moet in een volgende ronde aan bod komen.
Sommigen beweren halsstarrig dat dit gaat om de aanleg van een ‘Ring rond Groot-Bijgaarden’. Niets is minder waar: de straat is aan heraanleg toe en ligt op het bovenlokaal functioneel fietsroutenetwerk. Een fietsverbinding richting station en centrum Dilbeek is dus noodzakelijk en is opgenomen in het mobiliteitsplan.
Het opzet hier is eenvoudig. De rijbaan wordt wat versmald, er komen brede fietspaden langs elke kant en de bomenrijen in Hoogveld blijven behouden (of worden vervangen indien nodig). Zo wordt het laankarakter van de straat behouden, op uitdrukkelijke vraag van de bewoners. Een voetpad is hierdoor niet mogelijk maar gezien voetgangers ook gebruik mogen maken van fietspaden, mag dit geen probleem vormen.
Het kruispunt Hoogveld/Brusselstraat wordt een pak veiliger gemaakt en de zone 50 wordt er uitgebreid tot aan Draaiberg.


Brusselstraat-Hoogveld-Molenberg-Grondplan
Timing
De plannen voor de Brusselstraat in Kapelle worden verder technisch uitgewerkt. Overleg met nutsmaatschappijen is volop lopende. Vast staat dat de werken pas kunnen aanvangen als de Dansaertlaan, Bodegemstraat en Ternatstraat klaar zijn.
De plannen voor (een deel van) de Brusselstraat-Hoogveld-Molenberg zijn aanbestedingsklaar. Rioleringen zullen niet vernieuwd worden maar gerenoveerd waar nodig. De verlichting en de waterleiding moeten sowieso vernieuwd worden. Dit staat gepland voor 2019.

Graag een gedetailleerd plan van Brusselstraat ter hoogte van huizen nr 599 , 601 ,603 ,605 , 607
..Inrit garage van huis 603 stelt nu al een probleem.
Beste, dat plan staat er op: https://stijnq.files.wordpress.com/2018/10/11410002_m_g_20_000_00_c-layout1.pdf